조황관리HOME / 조황관리 / 상세정보

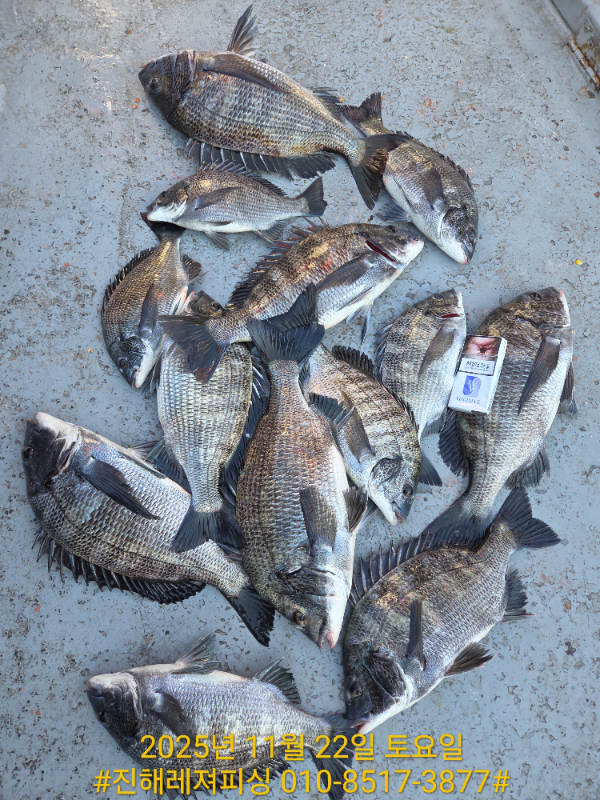
제목 : 감성돔 (카고)ㅡ손맛 굿굿입니다
등록일 : 2025-12-01




































◇◇◇   감성돔  ◇◇◇
ㅡ 카고 ㅡ
11/24(월) ㅡ  예약가능 
11/25(화) ㅡ  예약가능 
11/26(수) ㅡ  예약가능 
쭉 ㅡ예약가능 
ㅡ 흘림 ㅡ
11/24(월) ㅡ  예약가능 
11/25(화) ㅡ  예약가능 
11/26(수) ㅡ  예약가능 
쭉 ㅡ예약가능
ㅡㅡㅡㅡㅡㅡㅡㅡㅡㅡㅡㅡㅡㅡㅡㅡㅡㅡㅡㅡㅡㅡ
● 기분좋은 출조길 함께하실분은 연락주세요 
● 문의 ㅡ010-8517-3877 ㅡ 진해레져피싱 
ㅡ 카고 / 흘림 ㅡ 매일 출조합니다 .
○ 매일ㅡ 1. 2호선( 카고/흘림 )출조합니다 
○ 6시출항
( 예약하실때 )
ㅡ카고인지.
ㅡ흘림인지 꼭 말씀해주세요 
☎️ㅡ010-8517-3877 
☆1.2호선으로 출조합니다 
○자리는 추첨제입니다 
○이틀연속 출조하는분. 자리선택가능 
(닻도우미 자리선택가능)
⛔️카고ㅡ선비:밑밥.크릴 .옥수수 포함 (12만원)
????️대체미끼는 (옥수수) 드립니다 
⛔️흘림ㅡ선비:밑밥.크릴 포함 (11만원)
대체미끼는 개인준비(민물새우.경단)
ㅡㅡㅡㅡㅡㅡㅡㅡㅡㅡㅡㅡㅡㅡㅡㅡㅡ
문의 010-8517-3877 진해레져피싱
ㅡㅡㅡㅡㅡㅡㅡㅡㅡㅡㅡㅡㅡㅡㅡㅡㅡ
●감성돔 카고채비● 
• 낚시대ㅡ감성돔(2호~3호대).카고대(2호~3호)
• 릴 ㅡ 4000~6000번.
원줄5호~6호.목줄3호~5호
• 카고망 ㅡ30호~40호. 추가봉돌10호(준비)
• 바늘 ㅡ5호~7호
●감성돔 흘림채비●
• 낚시대 ㅡ감성돔 전용 0.8~1.5호 
• 릴 -ㅡ2000~3000번
원줄ㅡ 2.5~3호/목줄ㅡ1.5호~2호)
• 찌 ㅡ 막대찌 2호~3호 
• 바늘 3~5호
ㅡㅡㅡㅡㅡㅡㅡㅡㅡㅡㅡㅡㅡㅡㅡㅡㅡㅡㅡ
문의 ㅡ010-8517-3877 진해레져피싱
ㅡㅡㅡㅡㅡㅡㅡㅡㅡㅡㅡㅡㅡㅡㅡㅡㅡㅡㅡ
ㅡ 배타는 곳에 가게있습니다 
주차후 가게로 오시면됩니다.  (킹콩피싱)
가게앞에 배타는곳이라 아주 편해졌습니다.
ㅡㅡㅡㅡㅡㅡㅡㅡㅡㅡㅡㅡㅡㅡㅡㅡㅡㅡㅡㅡㅡ
????네비주소 ㅡ창원시 진해구 장천동 782번지
또는진해항제1부두 비지니스센터앞
????계좌 ㅡ수협  2060 0077 8533 김종호
????꼭 입금후 ●날짜와●입금자 성함●문자주세요️
#전화로 예약해주시고 문의해주세요 감사합니다
밴드 가입시ㅡ실시간  및 동영상 볼수있습니다 https://band.us/n/a7a2Adf6ceg4O


홈페이지 예약가능합니다 


밴드 가입시ㅡ실시간  및 동영상 볼수있습니다 https://band.us/n/a7a2Adf6ceg4O

■문의ㅡ010ㅡ8517ㅡ3877



*** 진해 레져피싱 예약 안내 ***


예약문의 : 010-8517-3877

오시는길 : 경남 창원시 진해구 장천동 782 (진해항제1부두 안 비즈니스센터 앞)

모바일.jpg 

Top