황금물때 시작입니다.내일 예약가능걸면 대물입니다. 평균 사이즈45이상됩니다ㅡ돼지 감성돔(카고) ㅡ 손맛보러갑니다.연일 이어지는 대물손맛 ㅡ쭉 이어집니다덩치급으로 씨알이 빨래판입니다내일도 대물손맛 기대됩니다기분좋은 출조길 함께하실분은 연락주세요ㅡ문의 ㅡ010-8517-3877ㅡ감성돔 (카고) ㅡ 5짜.4짜후반.중반급으로 손맛 굿굿.목줄 터지고 벗겨지고 빠지고 ㅠㅠ좋은 조황을 위해 열심히 달려보겠습니다(예약가능)문의 ㅡ010-8517-3877 ㅡ 진해레져피싱ㅡㅡㅡㅡㅡㅡㅡㅡㅡㅡㅡㅡㅡㅡㅡㅡㅡㅡㅡㅡㅡ● 기분좋은 출조길 함께하실분은 연락주세요ㅡㅡㅡㅡㅡㅡㅡㅡㅡㅡㅡㅡㅡㅡㅡㅡㅡㅡㅡㅡㅡ○ 매일ㅡ 1. 2호선( 10톤/ 5톤 )출조합니다○
내일ㅡ돼지 감성돔 ㅡ 손맛보러갑니다.연일 이어지는 대물손맛 ㅡ쭉 이어집니다덩치급으로 씨알이 빨래판입니다내일도 대물손맛 기대됩니다기분좋은 출조길 함께하실분은 연락주세요ㅡ문의 ㅡ010-8517-3877ㅡ진해레져피싱ㅡ감성돔 (카고) ㅡ 4짜중.후반.초반급으로 손맛 굿굿. 10수로 손맛굿굿입니다.오늘 놓친고기가 많네요.목줄 터지고 벗겨지고 빠지고 ㅠㅠ좋은 조황을 위해 열심히 달려보겠습니다(예약가능)>>> 감성돔 (카고/흘림)<<<● 문의 ㅡ010-8517-3877● 감성돔 카고 1호선ㅡ예약가능● 감성돔 흘림 2호선ㅡ예약가능ㅡㅡㅡㅡㅡㅡㅡㅡㅡㅡㅡㅡㅡㅡㅡㅡㅡㅡ문의 ㅡ010-8517-3877 ㅡ 진해레
내일ㅡ돼지 감성돔 ㅡ 손맛보러갑니다.연일 이어지는 대물손맛 ㅡ쭉 이어집니다덩치급으로 씨알이 빨래판입니다내일도 대물손맛 기대됩니다기분좋은 출조길 함께하실분은 연락주세요ㅡ문의 ㅡ010-8517-3877ㅡ진해레져피싱ㅡ감성돔 (카고) ㅡ 4짜중.후반.초반급으로 손맛 굿굿. 10수로 손맛굿굿입니다.오늘 놓친고기가 많네요.목줄 터지고 벗겨지고 빠지고 ㅠㅠ좋은 조황을 위해 열심히 달려보겠습니다(예약가능)>>> 감성돔 (카고/흘림)<<<● 문의 ㅡ010-8517-3877● 감성돔 카고 1호선ㅡ예약가능● 감성돔 흘림 2호선ㅡ예약가능ㅡㅡㅡㅡㅡㅡㅡㅡㅡㅡㅡㅡㅡㅡㅡㅡㅡㅡ문의 ㅡ010-8517-3877 ㅡ 진해레
내일ㅡ돼지 감성돔 ㅡ 손맛보러갑니다.연일 이어지는 대물손맛 ㅡ쭉 이어집니다덩치급으로 씨알이 빨래판입니다내일도 대물손맛 기대됩니다기분좋은 출조길 함께하실분은 연락주세요ㅡ문의 ㅡ010-8517-3877ㅡ진해레져피싱ㅡ감성돔 (카고) ㅡ 4짜중.후반.초반급으로 손맛 굿굿. 10수로 손맛굿굿입니다.놓친고기가 7수..오늘 놓친고기가 많네요.목줄 터지고 벗겨지고 빠지고 ㅠㅠ좋은 조황을 위해 열심히 달려보겠습니다(예약가능)>>> 감성돔 (카고/흘림)<<<● 문의 ㅡ010-8517-3877● 감성돔 카고 1호선ㅡ예약가능● 감성돔 흘림 2호선ㅡ예약가능ㅡㅡㅡㅡㅡㅡㅡㅡㅡㅡㅡㅡㅡㅡㅡㅡㅡㅡ문의 ㅡ010-8517-
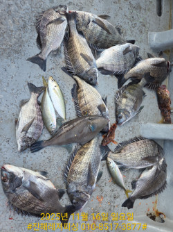
>>> 감성돔 <<<ㅡ이번주 물때좋아 손맛 기대됩니다● 감성돔 카고 1호선ㅡ예약가능● 감성돔 흘림 2호선ㅡ예약가능감성돔(카고) ㅡ 월요일부터 예약가능합니다.ㅡ 씨알이 너무 좋습니다ㅡ 돼지감시 잡으러갑니다ㅡ 초보분들도 손맛볼수 있습니다ㅡ 물때좋아 손맛 기대됩니다ㅡ 월.화 예약가능문의 ㅡ010-8517-3877 ㅡ 진해레져피싱감성돔(카고)ㅡ 연일 5짜급이 나와주네요51.49.47.46.44..마릿수로 손맛굿굿◇◇◇ 감성돔 ◇◇◇ㅡ 카고 ㅡ12/7(일) ㅡ 예약완료12/8(월) ㅡ 예약가능12/9(화) ㅡ 예약가능12/10(수) ㅡ 예약가능12/11(목) ㅡ 예약가능쭉 ㅡ예약가능ㅡ 흘림 ㅡ12
>>> 감성돔 <<<ㅡ이번주 물때좋아 손맛 기대됩니다● 감성돔 카고 1호선ㅡ예약가능● 감성돔 흘림 2호선ㅡ예약가능감성돔(카고) ㅡ 월요일부터 예약가능합니다.ㅡ 씨알이 너무 좋습니다ㅡ 돼지감시 잡으러갑니다ㅡ 초보분들도 손맛볼수 있습니다ㅡ 물때좋아 손맛 기대됩니다ㅡ 월.화 예약가능문의 ㅡ010-8517-3877 ㅡ 진해레져피싱감성돔(카고)ㅡ 연일 5짜급이 나와주네요51.49.47.46.44..마릿수로 손맛굿굿◇◇◇ 감성돔 ◇◇◇ㅡ 카고 ㅡ12/7(일) ㅡ 예약완료12/8(월) ㅡ 예약가능12/9(화) ㅡ 예약가능12/10(수) ㅡ 예약가능12/11(목) ㅡ 예약가능쭉 ㅡ예약가능ㅡ 흘림 ㅡ12
◇◇◇ 감성돔 ◇◇◇ㅡ 카고 ㅡ11/24(월) ㅡ 예약가능11/25(화) ㅡ 예약가능11/26(수) ㅡ 예약가능쭉 ㅡ예약가능ㅡ 흘림 ㅡ11/24(월) ㅡ 예약가능11/25(화) ㅡ 예약가능11/26(수) ㅡ 예약가능쭉 ㅡ예약가능ㅡㅡㅡㅡㅡㅡㅡㅡㅡㅡㅡㅡㅡㅡㅡㅡㅡㅡㅡㅡㅡㅡ● 기분좋은 출조길 함께하실분은 연락주세요● 문의 ㅡ010-8517-3877 ㅡ 진해레져피싱ㅡ 카고 / 흘림 ㅡ 매일 출조합니다 .○ 매일ㅡ 1. 2호선( 카고/흘림 )출조합니다○ 6시출항( 예약하실때 )ㅡ카고인지.ㅡ흘림인지 꼭 말씀해주세요☎️ㅡ010-8517-3877☆1.2호선으로 출조합니다○자리는 추첨제입니다○이틀연속 출조하는분. 자리선택가능(닻도우미 자
■■■ 내만칼치 ■■■조황이 좋은쪽으로 출조합니다문의 ㅡ010-8517-3877● 낚시대 대여가능● 필요하신 채비. 미끼 가게에서 구입가능합니다문의 ㅡ010-8517-3877 진해레져피싱● 32리터이하 쿨러 가져오세요.■■■ 내만칼치 ■■■● 선비ㅡ8만원● 출항시간ㅡㅡ 5시30분출항● 루어.텐야.텐빈 다 잘 물어요.● 수제도시락.컵라면.생수.캔음료.얼음 무료제공● 꽁치 미끼 가게에서 구입가능합니다문의 ㅡ010-8517-3877 진해레져피싱■ 자리는 추첨제입니다● 낚시대 2대까지 사용가능●●● 예약현황 ●●●11/19(수) ㅡ예약가능11/20(목) ㅡ예약가능11/21(금) ㅡ예약가능11/21(토) ㅡ예약가능11/22(일)
◇ 감성돔 (카고) ㅡ47.47.45.44.43..마릿수손맛으로 굿굿입니다 (예약가능)ㅡ 출항시간 ㅡ카고 / 흘림 ㅡ 1.2호선으로 출조합니다( 오전6시 ㅡ무조건출항) / (오전10시ㅡ3인이상출항)○평일 3인이상 독배가능합니다 ㅡ시간조절가능11/20(목) ㅡ예약가능 ㅡ카고 1호선/ 흘림 2호선11/21(금) ㅡ예약가능 ㅡ카고 1호선/ 흘림 2호선11/22(토) ㅡ예약가능 ㅡ카고 1호선/ 흘림 2호선11/23(일)ㅡ1호선 흘림예약완료/ 흘림 2호선쭉 ㅡ예약가능ㅡㅡㅡㅡㅡㅡㅡㅡㅡㅡㅡㅡㅡㅡㅡㅡㅡㅡㅡㅡㅡㅡ◇ 내만칼치 ㅡ 씨알급으로 손맛굿굿 (오늘.내일 예약가능)11/19(수) ㅡ예약가능11/20(목) ㅡ예약가능11/21(금) ㅡ
내일 ㅡ 감성돔 카고 출조합니다 .오전5시 / 오후2시 ㅡ예약가능자리 여유있습니다. 예약가능4시50분까지 가게로오시면됩니다출조가능씨알. 마릿수 기대됩니다물칸에 감시 함 채워봅시더~~일요일 ㅡ카고5시출조.흘림10시 출조○ 매일ㅡ 1.2.3선단으로 출조합니다오전5시/오전10시/오후2시 출조가능.○ 출항 30분전까지 가게로 오시면됩니다예약은 서둘러주세요 .감사합니다ㅡ11/8(토) ㅡ카고 (오전5시)ㅡ예약가능 ㅡ1호선ㅡ11/9(일) ㅡ카고 (오전5시)ㅡ예약가능 ㅡ1호선카고/흘림 (오후2시)ㅡ예약가능ㅡ11/9(일) ㅡ흘림 (오전10시) ㅡ예약가능 ㅡ2호선■■■ 감성돔 ■■■감성돔 시즌이 왔습니다예약하실때 카고인지.흘림인지 꼭 말









