조황관리HOME / 조황관리 / 상세정보

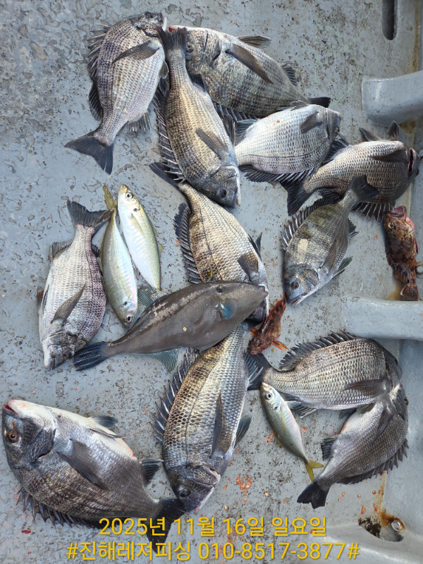
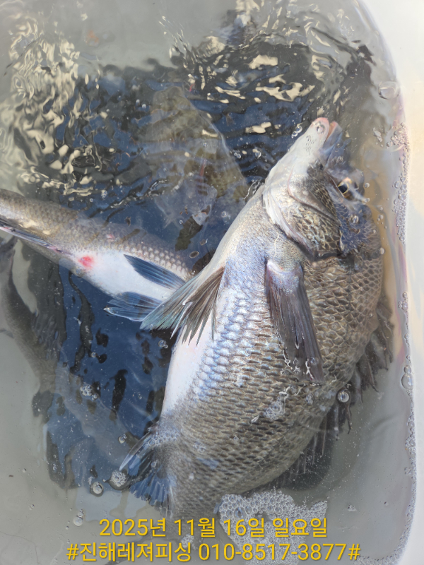
제목 : 감성돔ㅡ47.46.45...마릿수로 손맛 굿굿입니다 (예약가능)
등록일 : 2025-11-18



◇ 감성돔 (카고) ㅡ47.47.45.44.43..마릿수 
손맛으로 굿굿입니다 (예약가능)
ㅡ 출항시간 ㅡ
카고  / 흘림 ㅡ 1.2호선으로 출조합니다 
( 오전6시 ㅡ무조건출항) / (오전10시ㅡ3인이상출항)
○평일 3인이상 독배가능합니다 ㅡ시간조절가능
11/20(목) ㅡ예약가능 ㅡ카고 1호선/ 흘림 2호선 
11/21(금) ㅡ예약가능 ㅡ카고 1호선/ 흘림 2호선 
11/22(토) ㅡ예약가능 ㅡ카고 1호선/ 흘림 2호선 
11/23(일)ㅡ1호선 흘림예약완료/ 흘림 2호선 
쭉 ㅡ예약가능 
ㅡㅡㅡㅡㅡㅡㅡㅡㅡㅡㅡㅡㅡㅡㅡㅡㅡㅡㅡㅡㅡㅡ
◇  내만칼치 ㅡ 씨알급으로 손맛굿굿 (오늘.내일 예약가능)
11/19(수) ㅡ예약가능 
11/20(목) ㅡ예약가능 
11/21(금) ㅡ예약가능 
11/22(토) ㅡ예약가능 
11/23(일) ㅡ예약가능 
쭉 ㅡ예약가능 
ㅡㅡㅡㅡㅡㅡㅡㅡㅡㅡㅡㅡㅡㅡㅡㅡㅡㅡㅡㅡㅡㅡ
● 기분좋은 출조길 함께하실분은 연락주세요 
● 문의 ㅡ010-8517-3877 ㅡ 진해레져피싱 
■■■  감성돔  ■■■
ㅡ 카고 / 흘림 ㅡ 매일 출조합니다 .
●●●  출항시간  ●●●
○ 매일ㅡ 1. 2호선( 카고/흘림 )출조합니다 
1항차 ㅡ오전6시 (오후2시)
2항차 ㅡ오전10시 (오후5시) ㅡ3인이상.독배가능
○ 출항 30분전까지 가게로 오시면됩니다
 예약은 서둘러주세요 .감사합니다 
■■ 예약현황  ■■
11/19(수) ㅡ1호선 ㅡ카고 / 2호선 ㅡ흘림 
11/20(목) ㅡ1호선 ㅡ카고 / 2호선 ㅡ흘림 
11/21(금) ㅡ1호선 ㅡ카고 / 2호선 ㅡ흘림 
11/22(토) ㅡ1호선 ㅡ카고 / 2호선 ㅡ흘림 
11/23(일) ㅡ1호선 ㅡ흘림 예약완료/ 2호선 ㅡ흘림 
11/24(월) ㅡ1호선 ㅡ카고 / 2호선 ㅡ흘림 
( 예약하실때 )
ㅡ카고인지.
ㅡ흘림인지 꼭 말씀해주세요 
☎️ㅡ010-8517-3877 
☆1.2호선으로 출조합니다 
○자리는 추첨제입니다 
○이틀연속 출조하는분. 자리선택가능 
(닻도우미 자리선택가능)
⛔️카고ㅡ선비:밑밥.크릴 .옥수수 포함 (12만원)
????️대체미끼는 (옥수수) 드립니다 
⛔️흘림ㅡ선비:밑밥.크릴 포함 (10만원)
대체미끼는 개인준비(민물새우.경단)
ㅡㅡㅡㅡㅡㅡㅡㅡㅡㅡㅡㅡㅡㅡㅡㅡㅡㅡㅡ
문의 010-8517-3877 진해레져피싱
●감성돔 카고채비● 
• 낚시대ㅡ감성돔(2호~3호대).카고대(2호~3호)
• 릴 ㅡ 4000~6000번.
원줄5호~6호.목줄3호~5호
• 카고망 ㅡ30호~40호. 추가봉돌10호(준비)
• 바늘 ㅡ5호~7호
●감성돔 흘림채비●
• 낚시대 ㅡ감성돔 전용 0.8~1.5호 
• 릴 -ㅡ2000~3000번
원줄ㅡ 2.5~3호/목줄ㅡ1.5호~2호)
• 찌 ㅡ 막대찌 2호~3호 
• 바늘 3~5호
ㅡㅡㅡㅡㅡㅡㅡㅡㅡㅡㅡㅡㅡㅡㅡㅡㅡㅡㅡㅡ
■■■  내만칼치  ■■■
조황이 좋은쪽으로 출조합니다 
문의 ㅡ010-8517-3877 
● 낚시대 대여가능 
● 필요하신 채비. 미끼 가게에서 구입가능합니다  
문의 ㅡ010-8517-3877 진해레져피싱 
● 32리터이하 쿨러 가져오세요.
■■■  내만칼치  ■■■
● 선비ㅡ8만원 
● 출항시간
ㅡㅡ 5시30분출항
● 루어.텐야.텐빈 다 잘 물어요.
● 수제도시락.컵라면.생수.캔음료.얼음 무료제공 
●  꽁치 미끼 가게에서 구입가능합니다 
문의 ㅡ010-8517-3877 진해레져피싱 
■ 자리는 추첨제입니다 
● 낚시대 2대까지 사용가능 
●●● 예약현황 ●●●
11/19(수) ㅡ예약가능 
11/20(목) ㅡ예약가능 
11/21(금) ㅡ예약가능 
11/21(토) ㅡ예약가능 
11/22(일) ㅡ예약가능 
쭉 ㅡ예약가능합니다 
문의 ㅡ010-8517-3877 진해레져피싱
ㅡㅡㅡㅡㅡㅡㅡㅡㅡㅡㅡㅡㅡㅡㅡㅡㅡㅡㅡ
ㅡ 배타는 곳에 가게있습니다 
주차후 가게로 오시면됩니다.  (킹콩피싱)
가게앞에 배타는곳이라 아주 편해졌습니다.
ㅡㅡㅡㅡㅡㅡㅡㅡㅡㅡㅡㅡㅡㅡㅡㅡㅡㅡㅡㅡㅡ
????네비주소 ㅡ창원시 진해구 장천동 782번지
또는진해항제1부두 비지니스센터앞
????계좌 ㅡ수협  2060 0077 8533 김종호
????꼭 입금후 ●날짜와●입금자 성함●문자주세요️
#전화로 예약해주시고 문의해주세요 감사합니다
밴드 가입시ㅡ실시간  및 동영상 볼수있습니다 https://band.us/n/a7a2Adf6ceg4O

홈페이지 예약가능합니다 

밴드 가입시ㅡ실시간  및 동영상 볼수있습니다 https://band.us/n/a7a2Adf6ceg4O
■문의ㅡ010ㅡ8517ㅡ3877
1000051719.jpg


1000051711.jpg


1000051707.jpg


1000051730.jpg


1000051732.jpg


1000051735.jpg





*** 진해 레져피싱 예약 안내 ***


예약문의 : 010-8517-3877

오시는길 : 경남 창원시 진해구 장천동 782 (진해항제1부두 안 비즈니스센터 앞)

모바일.jpg 

Top